Sunday, May 3, 2026
English News
  • Hyderabad
  • Telangana
  • AP News
  • India
  • World
  • Entertainment
  • Sport
  • Science and Tech
  • Business
  • Rewind
  • ...
    • NRI
    • View Point
    • cartoon
    • My Space
    • Education Today
    • Reviews
    • Property
    • Lifestyle
E-Paper
  • NRI
  • View Point
  • cartoon
  • My Space
  • Reviews
  • Education Today
  • Property
  • Lifestyle
Home | News | Tropical Storm Hilary Forms Off Mexicos Southern Pacific Coast

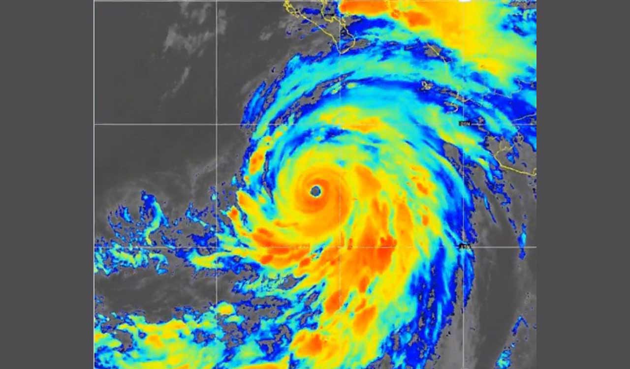
Tropical Storm Hilary forms off Mexico’s southern Pacific coast

The storm was moving west-northwest at 14 mph (22 kph). But it was expected to make a turn northward later in the week and strengthen into a hurricane before possibly brushing the northern part of the Baja peninsula, near the US border, as a tropical storm.

By PTI
Updated On - 17 August 2023, 01:29 PM
Tropical Storm Hilary forms off Mexico’s southern Pacific coast
whatsapp facebook twitter telegram

Mexico City: Tropical Storm Hilary formed Wednesday far off Mexico’s southern Pacific coast, but it is expected to strengthen and move north towards the Baja California peninsula later this week.

Hilary had winds of 40 mph (65 kph) Wednesday. The US National Hurricane Centre said Hilary was located about 470 miles (755 kilometres) south-southeast of the port city of Manzanillo, far from land.


The storm was moving west-northwest at 14 mph (22 kph). But it was expected to make a turn northward later in the week and strengthen into a hurricane before possibly brushing the northern part of the Baja peninsula, near the US border, as a tropical storm.

The Hurricane Centre said that “Hilary has the potential to bring impacts to the Baja California Peninsula and portions of the southwestern United States this weekend.”
Two other tropical storms, Fernanda and Greg, were far out to sea in the Pacific.

  • Follow Us :
  • Tags
  • Mexico City
  • Tropical Storm Hilary

Related News

  • Surge in cartel violence in Mexico; 20 killed in less than a day

    Surge in cartel violence in Mexico; 20 killed in less than a day

  • 12 killed, nearly 20 injured as gunmen attack street festival in Mexico’s Irapuato

    12 killed, nearly 20 injured as gunmen attack street festival in Mexico’s Irapuato

  • 24 people killed, 5 injured as bus collided with tractor-trailer in Mexico

    24 people killed, 5 injured as bus collided with tractor-trailer in Mexico

  • Tropical storm ‘Hilary’ hits California’s coastline

    Tropical storm ‘Hilary’ hits California’s coastline

Latest News

  • Hyderabad CP VC Sajjanar urges strict road safety on ORR, highways

    9 mins ago
  • Digital learning reshapes education, offers flexible and personalised learning paths

    15 mins ago
  • KTR’s timely medical help gives Hyderabad girl a new life

    19 mins ago
  • Union minister visits Jewellery shop, enquires about incident

    26 mins ago
  • India select Yastika, uncapped Nandini for women’s T20 WC; Pratika, Amanjot miss out

    33 mins ago
  • Hyderabad Traffic Police book 445 persons in two-day drunk driving drive

    42 mins ago
  • Cyberabad police transfers: 65 inspectors shifted, 54 get new postings

    57 mins ago
  • Summer camps in Hyderabad offer kids a mix of sports, creativity and tech learning

    1 hour ago

company

  • Home
  • About Us
  • Contact Us
  • Privacy Policy

business

  • Subscribe

telangana today

  • Telangana
  • Hyderabad
  • Latest News
  • Entertainment
  • World
  • Andhra Pradesh
  • Science & Tech
  • Sport

follow us

  • Telangana Today Telangana Today
Telangana Today Telangana Today

© Copyrights 2024 TELANGANA PUBLICATIONS PVT. LTD. All rights reserved. Powered by Veegam

.