Tuesday, Apr 21, 2026
English News
  • Hyderabad
  • Telangana
  • AP News
  • India
  • World
  • Entertainment
  • Sport
  • Science and Tech
  • Business
  • Rewind
  • ...
    • NRI
    • View Point
    • cartoon
    • My Space
    • Education Today
    • Reviews
    • Property
    • Lifestyle
E-Paper
  • NRI
  • View Point
  • cartoon
  • My Space
  • Reviews
  • Education Today
  • Property
  • Lifestyle
Home | World | Anticipated Category 4 Hurricane Set To Weaken While Approaching California

Anticipated category 4 hurricane set to weaken while approaching california

The storm's strength is predicted to diminish starting on Saturday due to encountering cooler water temperatures, transitioning into a tropical storm by Sunday as it nears the United States.

By IANS
Updated On - 19 August 2023, 04:48 PM
Anticipated category 4 hurricane set to weaken while approaching california
whatsapp facebook twitter telegram

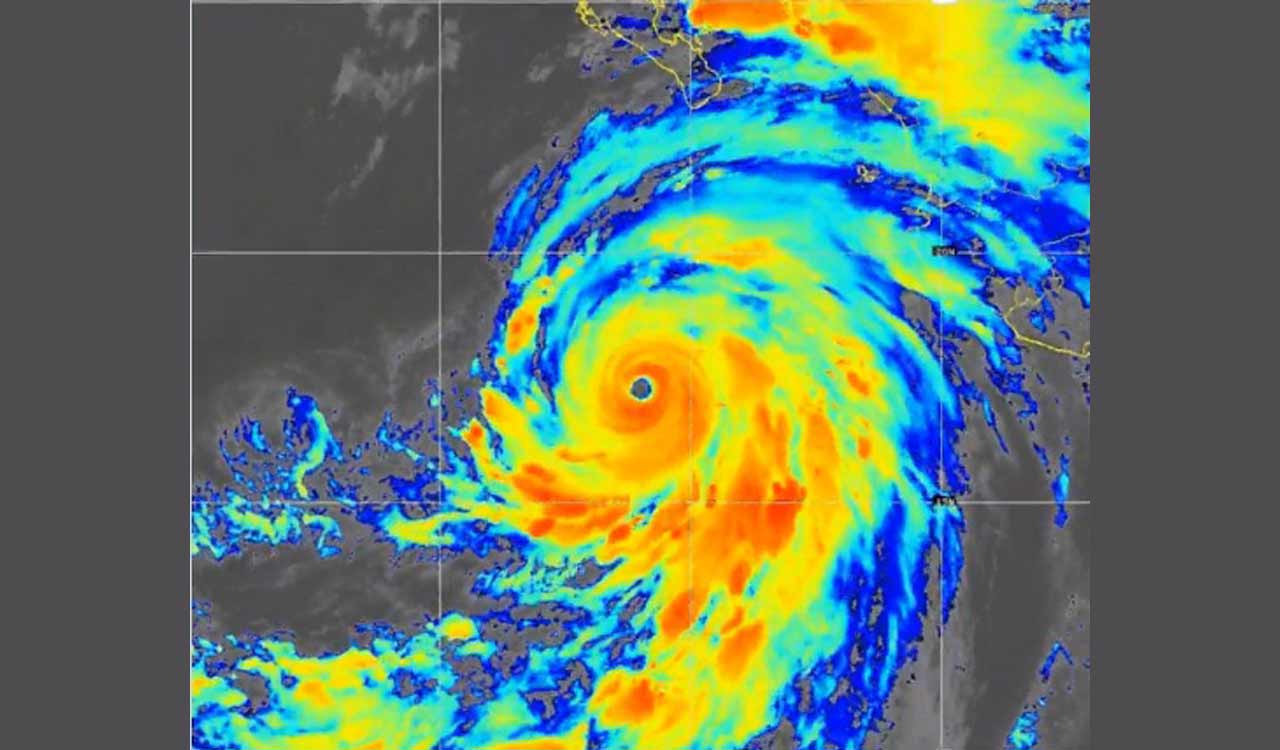
Houston: Hurricane Hilary strengthened to Category 4 early Friday and is expected to weaken as it barrels toward the US state of California.

The US National Weather Service tweeted that the storm would “lead to significant impacts” to the southwestern US this weekend into early next week, with rainfall totals of 3 to 6 inches and isolated amounts of up to 10 inches for parts of southern California and southern Nevada.


Within 24 hours, Hilary has rapidly intensified from a 70 mph tropical storm to a “large and powerful” 140 mph Category 4 hurricane as of early Friday, Xinhua news agency reported, citing the National Hurricane Center.

The storm is forecast to begin weakening on Saturday as it encounters cooler water temperatures and then become a tropical storm by Sunday as it approaches the US.

Weekend flood watches have been issued across southern California, stretching from San Diego to Los Angeles. The National Weather Service in Los Angeles has also warned of the potential for dangerously high surf, rip currents and coastal flooding.

  • Follow Us :
  • Tags
  • California
  • hurricane

Related News

  • Britney Spears enters substance abuse treatment facility weeks after her arrest on suspicion of DUI

    Britney Spears enters substance abuse treatment facility weeks after her arrest on suspicion of DUI

  • Hindu American Foundation challenges California caste discrimination approach in US court

    Hindu American Foundation challenges California caste discrimination approach in US court

  •  Sikh man kidnapped, killed in US; not ‘intended target’, say authorities

     Sikh man kidnapped, killed in US; not ‘intended target’, say authorities

  • Crews recover bodies of 9 backcountry skiers days after California avalanche

    Crews recover bodies of 9 backcountry skiers days after California avalanche

Latest News

  • Jeevan Reddy flays CM Revanth for his comments against KCR

    2 mins ago
  • Hyderabad: Man arrested for killing brother, sister-in-law in Sultanpura

    9 mins ago
  • SC calls for humane, rights-based approach for disabled prisoners

    11 mins ago
  • Grand birthday celebrations for Sangareddy MLA Chintha Prabhakar

    17 mins ago
  • Hyderabad traffic police announce night diversions near Mehdipatnam

    17 mins ago
  • Kerala–MP face off over ‘viral Kumbh girl’ marriage as DGP to appear before national panel

    18 mins ago
  • AESL Telangana students shine in JEE Main 2026 results

    19 mins ago
  • Ex-software engineer arrested in Hyderabad for growing ganja at home

    27 mins ago

company

  • Home
  • About Us
  • Contact Us
  • Privacy Policy

business

  • Subscribe

telangana today

  • Telangana
  • Hyderabad
  • Latest News
  • Entertainment
  • World
  • Andhra Pradesh
  • Science & Tech
  • Sport

follow us

  • Telangana Today Telangana Today
Telangana Today Telangana Today

© Copyrights 2024 TELANGANA PUBLICATIONS PVT. LTD. All rights reserved. Powered by Veegam

.